
Drosophila spp.
Characteristics
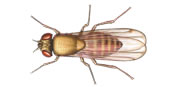
Size: Small flies 1/8-inch in length
Color: Tan brown with red eyes;
wings fold flat over body
Behaviour
Fruit flies are common in homes and commercial facilities where
food is prepared and served. These flies are usually carried in
on fruits and vegetables. The larvae feed on yeasts that develop
within ripening/decaying fruits and decaying organic matter. They
are also known as pomace flies or vinegar flies because they are
common pests in facilities producing vinegar. Because these flies
frequent unsanitary conditions, they are a potential health concern
when they occur in food facilities and hospitals.
Habitat
Any freshly decaying, moist organic matter that sits undisturbed
for five or more days. Usually associated with fresh fruits and
vegetables stored at room temperatures. Once inside, adult flies
emerging from a piece of infested fruit can find and exploit other
potential breeding sites such as poorly maintained trash containers,
recycling bins, food kicked underneath tables, coolers, etc., and
garbage disposals. They also may be found breeding in dumpsters
outside and flying to and entering the building through doorways.
The breeding media must be continually moist for the larvae to develop
and generally in a fairly fresh state of decay. Any crack or area
where organic matter can accumulate can support these flies.
Tips for Control
The key to controlling fruit flies is finding the breeding sites
and removing them by proper cleaning practices. Fruit flies, like
other types of small flies, can be difficult to totally eliminate
because they can breed in such small amounts of organic matter.
A number of breeding sites can be found and eliminated while others
may easily be overlooked. The inspection needs to focus on finding
all sites where moist organic matter has accumulated and then removing
that matter completely. Often, in homes, fruit flies are carried
in on bananas and when the bananas are removed, the presence of
flies disappears within a few days.
|